A vos projets, terrain à bâtir avec vue rare.

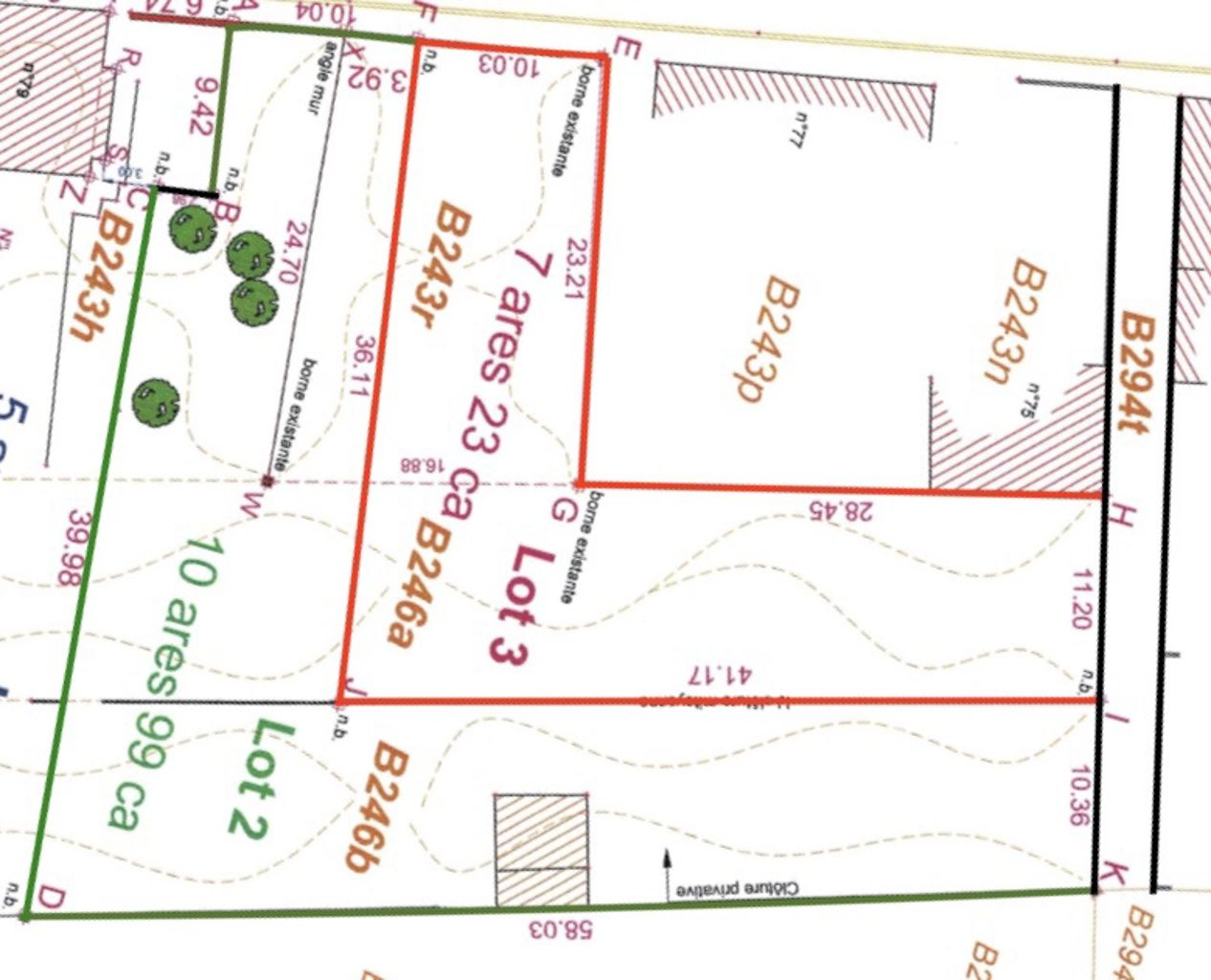
LOT 3: Non loin du centre du village et des commerces, 1 superbe terrain à bâtir d'env. 7 ares pour une maison 3 façades avec vue sur la vallée. Possibilité d'y mettre une profession libérale + une habitation unifamiliale. vendu avec 1/5 de propriété d'un 2ème accès voiture. Possibilité d'acheter les 2 parcelles. Renseignements: 0472762492 .

Intéressé(e) par une visite ?

Fiche Technique

  • Icône localisation Magasins
    200
  • Icône localisation écoles
    500
  • Icône localisation Transports en commun
    50
  • Icône localisation Centre sportif
    500
  • Icône localisation Sous régime TVA
    0
  • Icône localisation Magasins
    oui
  • Icône localisation Ecoles
    oui
  • Icône localisation Transports en commun
    oui
  • Icône localisation Centre sportif
    oui
  • Icône localisation Autoroute
    oui
  • Icône localisation Autoroute
    2500
  • Prix
    115.000€